$9,349
Ashby, MN 56309
MLS# 6158436
Status: Closed

1 / 18
Property Description
Where the city and country meet! Newly platted residential lot available in the City of Ashby. All offers will be considered! This lot is perfect for your dream home. Located in the heart of the lake country right next to the Central Lakes Trail. Tar road, city water, city sewer, street lights and cable...all ready for your new home.
Details
Maps
Documents
Contract Information
Allow Auto Valuation Display?: No
Allow Consumer Comment: No
Owner is an Agent?: No
Auction?: No
Status: Closed
Off Market Date: 2023-02-13
Contingency: None
Current Price: $9,349
Closed Date: 2023-02-15
Original List Price: 9349
Sales Close Price: 9349
ListPrice: 9349
List Date: 2022-03-01
Office/Member Info
Association: GLAR
MLSID: RMLS
General Property Information
Comp Sale YN: No
Lot Measurement: Acres
Multiple PIDs?: No
Plat Recorded: Yes
Yearly/Seasonal: Yearly
Zoning: Residential-Single Family
Acres: 0.71
Lot Size SqFt: 30927.6
Association Fee: 0
Assessment Pending: No
Location, Tax and Other Information
AssocFeeYN: No
Map Page: 999
Municipality: Ashby
Rental License?: No
School District: Ashby
School District Phone: 218-747-2257
Map Coordinate Source: King's Street Atlas
Property ID Number: 170349205
Tax Year: 2022
Tax Amount: 0
In Foreclosure?: No
Potential Short Sale?: No
Lender Owned?: No
Directions & Remarks
Public Remarks: Where the city and country meet! Newly platted residential lot available in the City of Ashby. All offers will be considered! This lot is perfect for your dream home. Located in the heart of the lake country right next to the Central Lakes Trail. Tar road, city water, city sewer, street lights and cable...all ready for your new home.
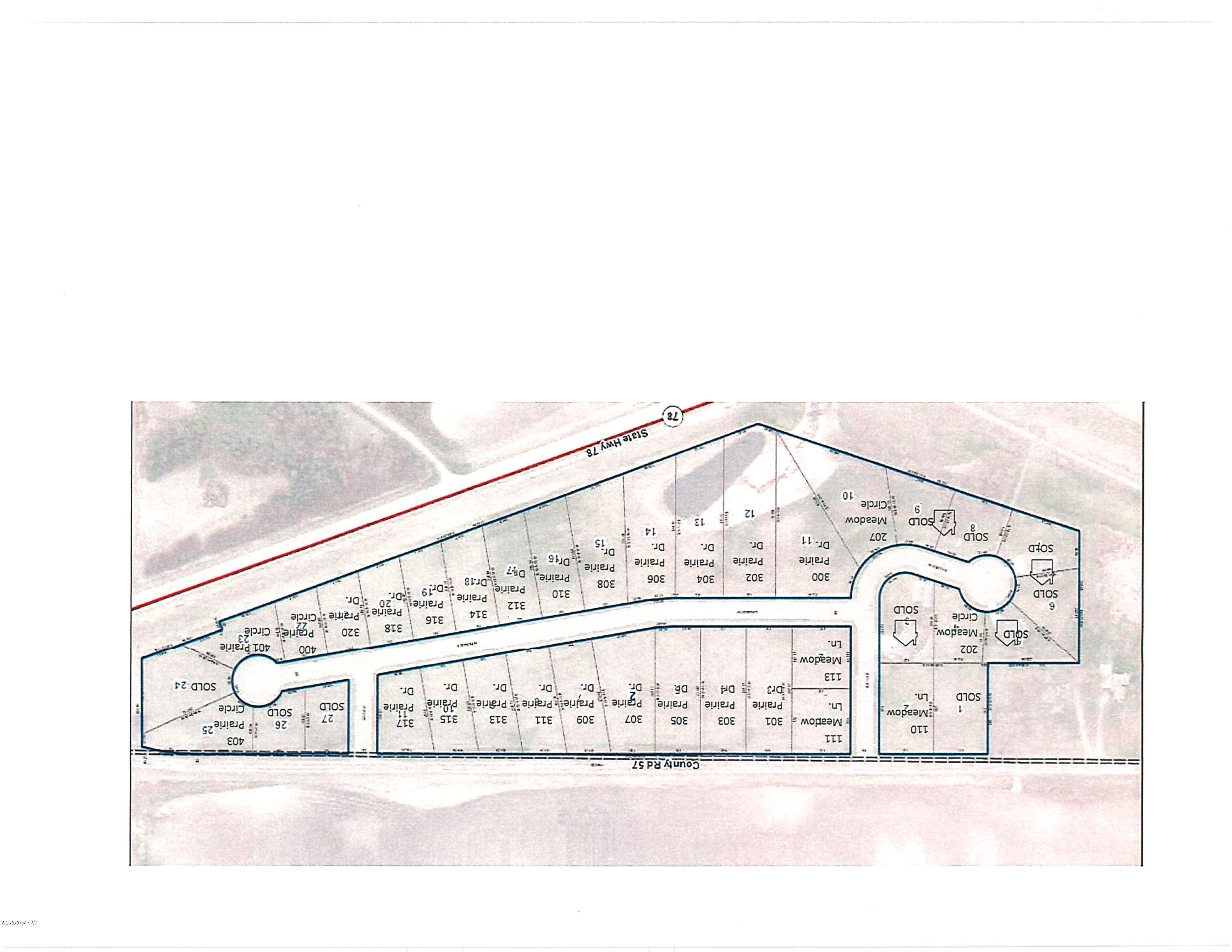
Directions: Ashby, MN in Grant county to Main Street East on 47 North to Main Street East. Or Interstate 94 West to Exit 77 to North on 78 to 330th left to Country View Estates.
Assessments
Assessment Balance: 0
Tax With Assessments: 0
Builder Information
Builder Restrictions: Open
Development Status
Finished Lot(s): 1
Insurance Fee
Insurance Fee: 0
Lease Details
Land Leased: No
Monthly Land Lease Amt: 0
Lock Box Type
None: 1
Lot Description
Additional Land Available: 1
Miscellaneous Information
FIPS Code: 27051
Homestead: Owner
Ownership
Fractional Ownership: No
Restriction/Covenants
Architecture Committee: 1
Easements: 1
Other Bldg Restrictions: 1
Other Covenants: 1
Other: 1
Road Frontage
Curbs: 1
Paved Streets: 1
Street Lights: 1
Sellers Terms
Cash: 1
Conventional: 1
Soil Type
Loam: 1
Topography
Level: 1
Available Utilities
Electricity Available: 1
Electricity Connected: 1
Other Available: 1
Sewer Available: 1
Sewer Connected: 1
Water Connected: 1
Improvements
Paved Streets: 1
Public Road: 1
Land Inclusions
Abstract: 1
Platted: 1
Survey: 1
Topographic Map: 1
Location Tax and Other Information
House Number: 305
Street Name: Prairie
Street Suffix: Drive
Postal City: Ashby
County: Grant
State: MN
Zip Code: 56309
Property Features
Available Utilities: Electricity Available; Electricity Connected; Other Available; Sewer Available; Sewer Connected; Water Connected
Development Status: Finished Lot(s)
Improvements: Paved Streets; Public Road
Land Inclusions: Abstract; Platted; Survey; Topographic Map
Lock Box Type: None
Lot Description: Additional Land Available
Road Frontage: Curbs; Paved Streets; Street Lights
Sellers Terms: Cash; Conventional
Soil Type: Loam
Topography: Level
Listing Office: Century 21 Atwood
Last Updated: June - 02 - 2025
The data relating to real estate for sale on this web site comes in part from the Broker Reciprocity SM Program of the Regional Multiple Listing Service of Minnesota, Inc. The information provided is deemed reliable but not guaranteed. Properties subject to prior sale, change or withdrawal. ©2024 Regional Multiple Listing Service of Minnesota, Inc All rights reserved.

Covenants