$105,000
Hanover, MN 55341
MLS# 6346718
Status: Closed

1 / 5
Property Description
Wonderful walkout lot in great location! Excellent place to build your dream home. Lots will be ready for building permits this fall. Open to all builders, come see!
Details
Maps
Contract Information
Owner is an Agent?: No
Auction?: No
Status: Closed
Off Market Date: 2023-06-07
Contingency: None
Current Price: $105,000
Closed Date: 2023-08-30
Original List Price: 105000
Sales Close Price: 105000
ListPrice: 105000
List Date: 2023-03-24
Office/Member Info
Association: MAAR
MLSID: RMLS
General Property Information
Comp Sale YN: No
Development: No
Lot Measurement: Acres
Multiple PIDs?: No
Plat Recorded: Yes
Yearly/Seasonal: Yearly
Zoning: Residential-Single Family
Lot Dimensions: 67x170x117x219
Acres: 0.43
Association Fee: 0
Assessment Pending: Unknown
Location, Tax and Other Information
AssocFeeYN: No
Listing City: Hanover
Map Page: 60
Municipality: Hanover
Rental License?: No
School District: Buffalo-Hanover-Montrose
School District Phone: 763-682-8707
Property ID Number: 108055001040
Tax Year: 2023
Tax Amount: 0
In Foreclosure?: No
Potential Short Sale?: No
Lender Owned?: No
Directions & Remarks
Public Remarks: Wonderful walkout lot in great location! Excellent place to build your dream home. Lots will be ready for building permits this fall. Open to all builders, come see!
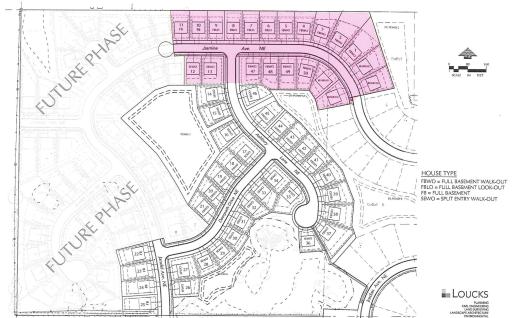
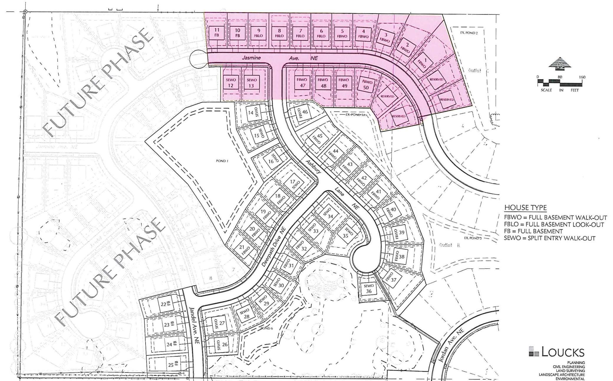
Directions: From Hwy 34 (Beebe Lake Rd NE) to south on Kadler Ave NE to west on Jasmine Ave NE to property
Assessments
Assessment Balance: 0
Tax With Assessments: 0
Builder Information
Builder Restrictions: Open
Development Status
Finished Lot(s): 1
Financing Terms
Cash: 1
Insurance Fee
Insurance Fee: 0
Lease Details
Land Leased: Not Applicable
Miscellaneous Information
Homestead: No
Ownership
Fractional Ownership: No
Public Survey Info
Range#: 24
Section#: 34
Township#: 120
Restriction/Covenants
Easements-Utility: 1
Road Frontage
City Street: 1
Paved Streets: 1
Sellers Terms
Cash: 1
Conventional: 1
Topography
Walkout: 1
Available Utilities
Cable Available: 1
Electricity Available: 1
Natural Gas Available: 1
None Connected: 1
Phone Available: 1
Sewer Available: 1
Storm Sewer Available: 1
Water Available: 1
Improvements
Curbs: 1
Paved Streets: 1
Public Road: 1
Storm Sewer: 1
Land Inclusions
Platted: 1
Survey: 1
Survey Stakes: 1
Topographic Map: 1
Location Tax and Other Information
House Number: Lot 4 Block 1
Street Name: Jasmine
Street Suffix: Avenue
Street Direction Suffix: NE
Postal City: Hanover
County: Wright
State: MN
Zip Code: 55341
Complex/Dev/Subdivision: Crow River Heights West 6th Addition
Property Features
Available Utilities: Cable Available; Electricity Available; Natural Gas Available; None Connected; Phone Available; Sewer Available; Storm Sewer Available; Water Available
Development Status: Finished Lot(s)
Financing Terms: Cash
Improvements: Curbs; Paved Streets; Public Road; Storm Sewer
Land Inclusions: Platted; Survey; Survey Stakes; Topographic Map
Road Frontage: City Street; Paved Streets
Sellers Terms: Cash; Conventional
Topography: Walkout
Listing Office: Kubes Realty Inc
Last Updated: June - 03 - 2025
The data relating to real estate for sale on this web site comes in part from the Broker Reciprocity SM Program of the Regional Multiple Listing Service of Minnesota, Inc. The information provided is deemed reliable but not guaranteed. Properties subject to prior sale, change or withdrawal. ©2024 Regional Multiple Listing Service of Minnesota, Inc All rights reserved.
